Barrio: Centro / Tema: Cartografia
Ubicación Histórica, Año:1941
Nomenclatura 1941 II Parte
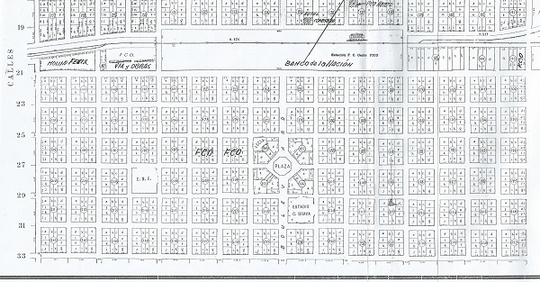
NOMENCLATURA 1941, II Parte Continuando con la lectura de las manzanas que están ubicadas “del otro lado de las vías”, aunque son muchos los que cuestionan ese tema, ya que “el grueso” del pueblo se formó a espaldas del edificio de la Estación Ferroviaria, que por otro lado se repite en otras poblaciones. De cualquier manera no es un tema este para discutir, ya que tampoco es un tema que exija demasiado cuestionamiento, al menos en mi modo de ver. Aquí podemos ver que el pueblo por aquellos años terminaba en la calle 33 y los predios o manzanas que estaban marcadas entre las calles 21 y vías del ferrocarril, (tal como se puede ver en el mapa) tienen unas mediciones muy particulares. Esta segunda parte tiene varios arreglos, uno es la incorporación del croquis de una manzana, que bien puede ser el recorte original de los lotes. Este fue un aporte del amigo Carlos Dante Ismael, a quien le agradecemos infinitamente esta colaboración. Por este croquis corregimos las medidas y los de cada esquina pasarían a tener 35 x 30, mientras los lotes de las calles pares (E,F y K,L) cambiarían a 20 x 35. Otro arreglo es que la cantidad de manzanas eran 242, en lugar de 227, finalizando su conteo 31,33, 4y2. Hecha la aclaración y el agradecimiento correspondiente, continuamos entonces con la anterior descripción de los dueños de los solares por aquella década d 1940. Manzana 143 entre 32-30 y calle 21 con las vías del Ferrocarril A,B,C,D,E Inernacional Harv. C. Manzana 144 entre 30 y 28 A1ª Estéban Ferreyra A2ª Benito Marcos A3ª José Russo B,C, D Ferro C. Oeste Manzana 145 entre 28 y 24 A,B,C1ª E. Grijalba A,B,C2ª D. Ayala A,B,C3ª D. Ayala A,B,C4ª Manuel Anuncio A,B,C5ª West India Oil Co. A,B,C,8ª “ “ “ A,B,C9ª “ “ “ D,E “ “ “ Manzana 146, desde calle 10 hasta la calle 6 F.C.O. (AB) H1ª,2ª,3ª Molinos Fénix S.A. A,B,C,D,E,F,G,H,I Molinos Fénix S.A. Manzana 147, comienza ahora la numeración desde la calle 2 hacia la dirección contraria, ahora entre 21 y 23 A J. Mendoza García B Federico Cid C Amalia S. de Pico D Visitación Haedo E,F,G Eduardo Chapeaurouge H,I Santa Shing J Amalia S. de Pico K Andrés y P. Huerga L Cayetano Mendoza Manzana 148 entre 4 y 6 A Pedro Giachino B,C Alejo Irrazabal D Juan G. Moreno E, E. Chapeaurouge F,G,H,I,J,K,L Alberto F. del Casal Manzana 149 entre 6 y 8 A a L Molinos Fénix S.A. Manzana 150 entre 8 y 10 A,B Pedro Lupani C Luisa V. dd Caire D Luis Giacobbe E1ª Pedro Lupani E2ª Luis Giacobbe F Miguel Fernández G Hipólito Fuentes H Amalia S. de Pico I,J,K Emilio Loinas L Pedro Lupani Manzana 151 entre 10 y 12 A a L Carmen E. Priore Manzana 152 entre 12 y 14 A Simón Abeldaño B,C Dolores Leiva D,E Damonte y meo F Justiniano Murillo G1ª S. Reyes de López G2ª Eduardo Kumkel G3ª Costantini Entizne H Teodoro Guajardo I C. López J1ª Saturnino Nieto J2ª Juan C. Rosa K Antonio Rosa L Domingo Scaglia y Sra. Manzana 153 entre 14 y 16 A José M. Aguirre B,C Juan Dasa D Martín Echeverry E Miguel Soler F,G Francisco Grande H Juan J. Pippia I,J P. Sanutto K,l José M. Aguirre Manzana 154 entre 16 y Boulevard A Santiago Campaso B Manuel Granja D Manuel Pedrerol E Fermín albin F Cayetano Ríos G M. B. de Boichijosky H Juan Martín I Francisco Anzorena J Benigno Saenz K M.B. de Rodríguez L1ª Alfredo Morán L2ª Francisco A. Totino Manzana 155 entre Boulevard y 18 A Pedro Massola B A.T. de Tressen C Gregorio Beytroson D José Barberá E Alfredo Sánchez F Martín Carracedo G Pedro alba H Serafina M. de Jostel I Jorge Álvarez C. M. de J1ª Manuel Blanco J2ª Pascuala Carretero K Miguel Martinez L Teresa Rodríguez Manzana 156 entre 18 y 20 A1ª Francisco & M. Bastida A2ª Antonio Antón A3ª Alfredo Morán A4ª A.S. de Betelu B Antonio Antón C S. López y S. de D Pedro Massola E Miguel Fernández F F.C.L Martín Abarca G Gabriel Toro H Cipriano Casado I Gabino Rodríguez J Juan B. Matos K Domimgo Enriquez L Hilario Pueyo Manzana 157 entre 20 y 22 A Matilde C. de Yañez B Consuelo H. González C P. Rodríguez y Sra. D1ª José Garrido D2ª,3ª T. y Francisco Alonzo García D4ª A.M. de Chicotte y A. E, F1ª Segundo y L. Bonessi F2ª, G T.D y D. Mainz H C. Peñin Cuadrado I Francisco Moreno J,K Fernando Moreno L Felipe Pelachi Manzana 158 entre 22 y 24 A Héctor R. Muñóz B Mauricio Díaz C Froilan López D José A. Verna E Antonio tapia F María Isasti de Ares G,H Josefa C. Santesteban I Pablo H. Roldán y J.R. J J. Castro L1ª Josefa B. de saez L2ª Gerónimo y S. Veinticinco J Ángel F. Magiorino Manzana 159 entre 24 y 26 A Sampayo y Comabella B,C José Sampayo D Sampayo y Comabella E José Sampayo F Emeterio Rico G1ª Teresa M. Mareque G2ª Juana Vásquez H,I Suc. C. Iriarte J María G. de grifols K Ángel Valentín Pérez L José M. Marcos Manzana 160 entre 26 y 28 A1ª Jorge Cerrigone A2ª José N. Barrio B,C Biviano Andrada D Antonio Barrientos E Joaquin Pereyra F Sergio Bécares G Catalina Togneti H Juan Rossetto I G. H. Calvo J María G. Grifols K Cosme Santellán L José Sampayo Manzana 161 entre 28 y 30 A1ª,2ª Daniel Ferrando B Ángel Villarías C Antonio Scarfoni D Manuel Moyano E Amalia S. de Pico F Josefa Fernández G José M Alonzo H,I Amalia S. de Pico J G. Pereyra K Rodolfo Serra L Urbano Quintana Manzana 162 entre 30 y 32 A Antonio Sánchez B José Baldía C Jesús Becerra D Francisco Ussino E Tomás Novillo F Amalia S. de Pico G Isidoro Martínez H,I Amalia S. de Pico J,K G. Ferreyra L Amalia S. de Pico Manzana 163 entre 32-30 ahora 23 y 25 A,B Amalia S. de Pico C,D,F M. Ch. de Weincklein F,G Rosario Zabala H,I,J,K,L Amalia S. de Pico Manzana 164 entre 30 y 28 A,B J. Scayol C Juana A. de Nuin D Amalia S. de Pico E Faustina B. de Álvarez F,G L.A. Chapeaurouge H Nicasio N. Nuin I F. Oddi & M. de J Florentian vega K Pedro Flaker L J. Saayol Manzana 165 entre 28 y 26 A Suc. Ciriaco Iriarte B José D. Echeverría G Gabriel Vidal D Juan Montenegro E Ramona Toledo F M. S. de Herrera G Simón Aramburu H. H Domingo Tobares I Martín Blanoo J,K,L Suc. Ciriaco Iriarte Manzana 166 entre 26 y 24 A Margarita C. de Zanuto B Pedro Guach C Gervasio Travadelo D Ana. M. de Touceda E T.M. de Iriarte F,G,H,I,J,K Manuel Bermudez L Luis y Aladro Manzana 167 entre 24 y 22 A1ª Fernando Moreno A2ª S. B. de Moreno B,C Luis Campos D Suc. Ciriaco Iriarte E Plácido Luis F,G Luis & Aladro H Juan González I Felipe Angelucci J Atilio Salanueva K Feliciano Simón L Julio Mayor Manzana 168 entre 22 y 20 A Salvador Gil B,C Felipe Pelachi D Felix Torrado E Juan Díaz F,G Abdon Pereyra H,I Juan Reda J Emilio C. del Arco K Augusto Otero L Ramón Cuenca Manzana 169 entre 20 y 18 A Romulo Ferri B Germán Rodríguez C José A. del Pozo y Sra. D1ª J. Hernández galan y O. D2ª F.G. de Galvan E,F Andrés Somavilla G1ª F. Viñuela y Sra. G2ª Marcos Laborante G5ª Baldomero Paez H J. Topini y Sra. I Carmen I. Priori J1ª Francisco Puente J2ª J. Bernardo y Sra. K Telesforo Alonzo L Celso Sánchez Manzana 170 entre 18 y Boulevard A Alvarez y Martínez B Francisco Puente C Félix Puente D1ª Rogelio Entizne D2ª José Cid Martin E,F Nicanor Rodríguez G1ª Lorenzo Carreti G2ª Longino Sánchez H Guillermo Fernández I Juan Martín J Mariano López K Domingo López L Francisco Martínez Manzana 171 entre Boulevard y 16 A José Morán y Sra. B Alejandro Rossi C Diego Arroyo D1ª Florián López D2ª Juan García M. E Antonio Bonilla F Celestina F. de Aguilera G Nicanor Pérz H Casimiro Honorato I Juan Rosell K Víctor M. Oddone L Antonio Oddone Manzana 172 entre 16 y 14 A Andrés H. González B,C Ángel Villarías D1ª F. Tineo y A. Sánchez D2ª José Borachino E Francisco Cuellar F Belarmino Abarca G Dufau y Carnaghi H Leandro García I,J E. Bernal K A. Adeja y B. S. de L Andrés H. González Manzana 173 entre 14 y 12 A,B,C Pedro Galli D J. Scayol E Nicolás Domínguez F Ángel Giordano G F. Porcel H J. Alonzo I Alberto Rosell J1ª E. Zapata e hijos J2ª Andrés Cerda K Amalia S. de Pico L L. Calvillo Martín Manzana 174 entre 12 y 10 A1ª A. Moreno Romera A2ª Pedro yañez B José Carracedo C Vicente Martín D,E1ª Juan P. Rivarola E 2ª José Gagliardi F M. Pérez y G. Carreras G A. Posadas H,I S. de Iturzaeta J Isabel G. de Martello K Florentino Barin L1ª Catalin m. de Bicman L2ª José M. Prieto Manzana 175 entre 10 y 8 A,B,C,D,E Antonio Luis Toso F Vicente Paoletti G Atilio Pugnanone H P. Dante I Felix Martín J E. de Chapeaurouge K L. P. Velazco L Antonio L. Tosso Manzana 176 entre 8 y 6 A – L E. de Chapeaurouge Manzana 177 entre 6 y 4 A,B,C,D,E E. de Chapeaurouge I José fariña J,K,L E. de Chapeaurouge Manzana 178 entre 4 y 2 A,B,C Juan B. Lombardi D,E,F,G,H,I,J,K Ángel Lombardi L Juan B. Lombardi Manzana 179 entre 2-4 ahora 25 y 27 A – L L. Cruz Ortiz Manzana 180 entre 4 y 6 A,B R. Ch. de Barroso C Manuel Garialdi D Rosa M. de Prieto E,F Amador Fuentes G A. Mainer H Amador Fuentesç I1ª Eduardo Barroso I2ª, J Vicente M. López K1ª Eduardo Barroso K2ª Vicente M. López L R. Ch. de Barroso Manzana 181 entre 6 y 8 A,B,C,D Juan Clausure E Almira R. de Reinoso F Francisco valentino G Manuel Romero H,I Carmen E. de Balent J A. Fernández del casal K,L Eugenio Ludueña Manzana 182 entre 8 y 10 A1ª Irineo Cepeda A2ª Ignacio Prieto B Santiago Chiape C Miguel Martín D Policarpo Quiroga E Miguel Masrtín F,G,H,I,J,K E. de Chapeaurouge L A. F. de Casal Manzana 183 entre 10 y 12 A Amalia S. de Pico B Ana Rodríguez C,D,E,F,G,H Carlos Schusler I Manuel Romero J,K Pedro Giachino L Antonio Medina Manzana 184 entre 12 y 14 A-L Ferro Carril Oeste Manzana 185 entre 14 y 16 A,B,C,D,E,F, G,H,I1ª,G,H,I3ª,4ª Ferro Carril Oeste F,G,H2ª,2ª Luis Zonobi G,H,I3ª Vicente Gianechini Manzana 186 entre 16 y Boulevard A José Petrelli B Froilán López C José Zorzal D1ª Juan G. Moreno D2ª José Barbeito E T. Iriarte y D. Maínz F Antonio Barrera Manzana 187 entre Boulevard y 18 A1ª E.F. de Morales A1ª Juan M. Abarca B Antonio González A. D Camilo Cándano E Municipalidad F Elías Banadovich C1ª Fco. R. Cárdenas C2ª Isabel C. de Ruiz Manzana 188 entre 18 y 20 A Santiago Mateos B Macaria Bernardo C Ines C. de Patrilla D1ª Enrique Rodríguez D2ª Nicolás Giusani E Justo Ferreyra F1ª Santiago Zenarola H Amalia S. de Pico I Osvaldo Aragón J S. Altamiranda K Banco nación Argentina L Juliana Lezcano Manzana 189 entre 20 y 22 A,B Manuel Iglesias R. C Luis Festugatti D,E Antonio Festugatti F,G Lázaro Barroso H Saturnino Nieto I J. Topini y Sra. J D. Saenz K Simón Aveldaño L Manuel Iglesias R. Manzana 190 entre 22 y 24 A Pascuala M. de Viola B Manuel Archanco C Pedro González D Fermin Torres E1ª Domingo Lacasa E2ª Sabino C. García F Eusebio Matilla G Mariano Biullue H,I Juan Beronese J M. R. de Molina K,L Francisco Ursino Manzana 191 entre 24 y 26 A Fausto Molina B,C Ana Ch. de Chinchilla D Amalia S. de Pico E,F,G E. de Chapeaurouge H Félix Márquez I Amalia S. de Pico J Gabriel Albin K1ª Gregorio N. Lezcano K2ª Pedro Torrens L Valentin Marinelli Manzana 192 entre 26 y 28 A Luis M. Frattini B Tomas I. Zucconi C,D,E Aparicio Gómez F,G,H,I E. de Chapeaurouge J Segundo Gordillo K,L José Rico Manzana 193 entre 28 y 30 B1ª,I,J,K,L I. M. Ch. de Weinclein A1ª, Rafaél R. Morales A2ª Manuel P. Burriel Manzana 194 entre 30 y 32 A,B Juan Prado C1º, a K A. F. del Casal Manzana 195 entre 32-30 y pasamos a 27-29 A a L E. de Chapeaurouge Manzana 196 entre 30 y 28 A,B.C Eduardo de Chapeaurouge D M. Benitez E,F E. de Chapeaurouge G Sergio Gómez H,I E. de Chapeaurouge J,K Rosa de Ponteprimo L E. de Chapeaurouge Manzana 197 entre 28 y 26 A,B Elias Benito C,D,E Pedro N. M. Santos F,G,H M. Ch. de Weinklein I,J,K F. Varas y V. de L Elías Benito Manzana 198 entre 26 y 24 A Damaso Santos B Estéban F. Brum C Eleuterio Morales D Amalia S. de Pico E Laurentina resco F Alberto F. del Casal G Antonio Flaquer H Alberto F. del Casal I L. A. de Chapeaurouge J,K Guillermo Fons L Juan I. Amundarain Manzana 199 entre 24 y 22 A1ª José Iglesias P. A2ª María de Gradin B,C Bartolomé llanos D Manuel Bermúdez E Eduardo lazo F Emilio Baronese G Aniceto de León H José M. Meneas I Alberto F. del Casal J Juan B. Sappa K José San Martín L Victoriana Bengochea Manzana 200 entre 22 y 20 A Dufau y Carnaghi B,C,D Eduardo de Chapeaurouge E,F Humberto Oddone G Alfonso Oddone H J. Pereyra y M. Morales I,J Eduardo de Chapeaurouge K Víctor M. Linardo L Emilio Capreta Manzana 201 entre 20 y 18 A E. de Chapeaurouge B Teresa M. Masara C José Vázquez D1ª F. Refort y G. B. de D2ª Plácido Vergeres E Ángel Gobbato F Juan Acosta G1ª T. de Iriarte y D. Maínz G2ª Juana R. de Acosta H J. García Pérez I Villada Aguilar J FranciscG7NG-XC8M-WDRN-FK7R-964Ko Lazo K José Bonacera L L. de Chapeaurouge Manzana 202 entre 18 y Boulevard A Diego Maínz B E. de Chapeaurouge C,D,E,F Adolfo N. casal Manzana 203 entre Boulevard y 16 A,B,C María Ch. de Weinklein D Comisaría de Policía E,F María Ch. Wenklein Manzana 204 entre 16 y 14 A Salvador Bausa B a L Amalia S. de Pico Manzana 205 entre 14 y 12 A a L P. Giachino Manzana 206 entre 12 y 10 A a L M. Ch. de Wenklein Manzana 207 entre 10 y 8 A a L Consejo Nacional de Educación Manzana 208 entre 8 y 6 A a L E. de Chapeaurouge Manzana 209 entre 6 y4 A a L E. de Chapeaurouge Manzana 210 entre 4 y 2 Amalia S. de Pico Manzana 211 entre 2-4 ahora 29 y 31 “ Manzana 212 entre 4 y 6 “ Manzana 213 entre 6 y 8 “ Manzana 214 entre 8 y 10 “ Manzana 215 entre 10 y 12 “ Manzana 216 entre 12 y 14 A a L Eduardo de Chapeaurouge Manzana 217 entre 14 y 16 A a L M. Ch. de Wenklein Manzana 218 entre 16 y Boulevard A a L Amalia S. de Pico Manzana 219 entre Boulevard y 18 A a L P. L. Sánchez Manzana 220 entre 18 y 20 A,B,I,J,K,L Antonio Panussio C Félix Flores D,E,F,G,H M. Ch. de Wenklein Manzana 221 entre 20 y 22 A a l Consejo Nacional de Educación Manzana 222 entre 22 y 24 A a l A. F. del Casal Manzana 223 entre 24 y 26 A a L Amalia S. de Pico Manzana 224 entre 26 y 28 A a L Amalia S. de Pico Manzana 225 entre 28 y 30 A a L A. F. del Casal Manzana 226 entre 30 y 32 A a L Amalia S. de Pico Manzana 227 entre 32-30 y pasamos a 31 y 33 A,B,C,D,E Amalia S. de Pico F,G Modesto Casadey H,I,J,K,L Amalia S. de Pico Manzana 228 entre 30 y 28 A A L Amalia s. de Pico Manzana 229 entre 28 y 26 A a L Amalia S. de Pico Manzana 230 entre 26 y 24 A a L Amalia S. de Pico Manzana 231 entre 24 y 22 A Desiderio Ascheri B,C M. Ch. de Wenklein D Diego Lockart E,F León Martín F. C. G Héctor Casenave H Viuda de Gedes I,J,K,L M. Ch. de Wenklein Manzana 232 entre 22 y 20 A,B,C,D,E. E. de Chapeaurouge F Juan G. Hernández G José Baraibar H Juan G. Hernández I José Bartolomé J,K,L Edo. De Chapeaurouge Manzana 233 entre 20 y 18 A,B,C,D,E Amalia S. de Pico F Manuel Martín G,H,I,J,K,L Amalia S. de Pico Manzana 234 entre 18 y Boulevard A,B Antono Moralejo C Rufino Lobos D,E Martin Carracedo F,G,H,I Antonio Moralejo ,J,K,L “ “ Manzana 235 entre Boulevard y 16 A –L Amalia S. de Pico Manzana 236 entre 16 y 14 A –L Amalia S. de Pico Manzana 237 entre 14 y 12 A –L Amalia S. de Pico Manzana 238 entre 12 y 10 A Sinforosa de Quinteros B a I Edo. De Chapeaurouge J Eusebia A. de Hermida K Edo. De Chapeauroge L Sinforosa de Quinteros Manzana 239 entre 10 y 8 A Amalia S. de Pico B Gerónimo Testón C Amalia S. de Pico D Martín Gonzalo F,H,I,J,K,L Amalia S. de Pico E Pascual Lucero G Lorenzo Fernández Manzana 240 entre 8 y 6 A,B Suplicio Gallardo C Ramón Yerbes D,E,F Amalia S. de Pico G José Galvase H Ramón A. Yerbes I Suplicio Gallardo J,K Delfín Saavedra L Suplicio Gallardo Manzana 241 entre 6 y 4 A a L Amalia S. de Pico Manzana 242 2ntre 4 y 2 A a L Amalia S. de Pico Hasta aquí se puede ver lo que podríamos llamar la cuadrícula principal del pueblo de General Pico. lo que viene a continuación, será la descripción de la nomenclatura efectuada entre las calles 32 y 40, y desde la calle 1 hasta la altura de la calle 13, más una parte de sectores de quintas, marcadas desde esa calle 13 hasta un poco más allá de la calle 21. Se habrá podido apreciar que aparecen algunas lecturas que nos cambian varios lugares, en este sector llamada “atrás de las vías”, pues la Manzana 186, nos indica el lugar de la Escuela 66, la “de Itria”, mientras que la Comisaría está marcada exactamente donde actualmente encontramos el gran salón de actos, o usos múltiples de la Escuela de Luján, por lo que no sería entonces el asiento Policial, –como se informara–, en el mismo lugar donde estuviera la Escuela 66. Otro dato para destacar, es que el terreno y lugar para esa escuela, si bien no está marcado como tal en la Manzana 221, sí aparece otro terreno destinado al Consejo Nacional de Educación, en la Manzana 207, entre las calles 10, 8, 27 y 29. Quedan hechas las preguntas de rigor, para establecer orígenes y destino de cada cosa. Dónde y cuándo se produjeron esos cambios, como así también datos de filiación de la señora Amalia S. de Pico. Agradecimiento por la colaboración del amigo Carlos Dante Ismaél. Fuente informativa Boletín Municipal 1941 Plano Catastral que fuera propiedad de Amigos de la Ciudad héctor Pérez Farías recopilador de historias pueblerinas Agosto de 2017
Ubicación Histórica, Año:1941
Nomenclatura 1941 II Parte
NOMENCLATURA 1941, II Parte Continuando con la lectura de las manzanas que están ubicadas “del otro lado de las vías”, aunque son muchos los que cuestionan ese tema, ya que “el grueso” del pueblo se formó a espaldas del edificio de la Estación Ferroviaria, que por otro lado se repite en otras poblaciones. De cualquier manera no es un tema este para discutir, ya que tampoco es un tema que exija demasiado cuestionamiento, al menos en mi modo de ver. Aquí podemos ver que el pueblo por aquellos años terminaba en la calle 33 y los predios o manzanas que estaban marcadas entre las calles 21 y vías del ferrocarril, (tal como se puede ver en el mapa) tienen unas mediciones muy particulares. Esta segunda parte tiene varios arreglos, uno es la incorporación del croquis de una manzana, que bien puede ser el recorte original de los lotes. Este fue un aporte del amigo Carlos Dante Ismael, a quien le agradecemos infinitamente esta colaboración. Por este croquis corregimos las medidas y los de cada esquina pasarían a tener 35 x 30, mientras los lotes de las calles pares (E,F y K,L) cambiarían a 20 x 35. Otro arreglo es que la cantidad de manzanas eran 242, en lugar de 227, finalizando su conteo 31,33, 4y2. Hecha la aclaración y el agradecimiento correspondiente, continuamos entonces con la anterior descripción de los dueños de los solares por aquella década d 1940. Manzana 143 entre 32-30 y calle 21 con las vías del Ferrocarril A,B,C,D,E Inernacional Harv. C. Manzana 144 entre 30 y 28 A1ª Estéban Ferreyra A2ª Benito Marcos A3ª José Russo B,C, D Ferro C. Oeste Manzana 145 entre 28 y 24 A,B,C1ª E. Grijalba A,B,C2ª D. Ayala A,B,C3ª D. Ayala A,B,C4ª Manuel Anuncio A,B,C5ª West India Oil Co. A,B,C,8ª “ “ “ A,B,C9ª “ “ “ D,E “ “ “ Manzana 146, desde calle 10 hasta la calle 6 F.C.O. (AB) H1ª,2ª,3ª Molinos Fénix S.A. A,B,C,D,E,F,G,H,I Molinos Fénix S.A. Manzana 147, comienza ahora la numeración desde la calle 2 hacia la dirección contraria, ahora entre 21 y 23 A J. Mendoza García B Federico Cid C Amalia S. de Pico D Visitación Haedo E,F,G Eduardo Chapeaurouge H,I Santa Shing J Amalia S. de Pico K Andrés y P. Huerga L Cayetano Mendoza Manzana 148 entre 4 y 6 A Pedro Giachino B,C Alejo Irrazabal D Juan G. Moreno E, E. Chapeaurouge F,G,H,I,J,K,L Alberto F. del Casal Manzana 149 entre 6 y 8 A a L Molinos Fénix S.A. Manzana 150 entre 8 y 10 A,B Pedro Lupani C Luisa V. dd Caire D Luis Giacobbe E1ª Pedro Lupani E2ª Luis Giacobbe F Miguel Fernández G Hipólito Fuentes H Amalia S. de Pico I,J,K Emilio Loinas L Pedro Lupani Manzana 151 entre 10 y 12 A a L Carmen E. Priore Manzana 152 entre 12 y 14 A Simón Abeldaño B,C Dolores Leiva D,E Damonte y meo F Justiniano Murillo G1ª S. Reyes de López G2ª Eduardo Kumkel G3ª Costantini Entizne H Teodoro Guajardo I C. López J1ª Saturnino Nieto J2ª Juan C. Rosa K Antonio Rosa L Domingo Scaglia y Sra. Manzana 153 entre 14 y 16 A José M. Aguirre B,C Juan Dasa D Martín Echeverry E Miguel Soler F,G Francisco Grande H Juan J. Pippia I,J P. Sanutto K,l José M. Aguirre Manzana 154 entre 16 y Boulevard A Santiago Campaso B Manuel Granja D Manuel Pedrerol E Fermín albin F Cayetano Ríos G M. B. de Boichijosky H Juan Martín I Francisco Anzorena J Benigno Saenz K M.B. de Rodríguez L1ª Alfredo Morán L2ª Francisco A. Totino Manzana 155 entre Boulevard y 18 A Pedro Massola B A.T. de Tressen C Gregorio Beytroson D José Barberá E Alfredo Sánchez F Martín Carracedo G Pedro alba H Serafina M. de Jostel I Jorge Álvarez C. M. de J1ª Manuel Blanco J2ª Pascuala Carretero K Miguel Martinez L Teresa Rodríguez Manzana 156 entre 18 y 20 A1ª Francisco & M. Bastida A2ª Antonio Antón A3ª Alfredo Morán A4ª A.S. de Betelu B Antonio Antón C S. López y S. de D Pedro Massola E Miguel Fernández F F.C.L Martín Abarca G Gabriel Toro H Cipriano Casado I Gabino Rodríguez J Juan B. Matos K Domimgo Enriquez L Hilario Pueyo Manzana 157 entre 20 y 22 A Matilde C. de Yañez B Consuelo H. González C P. Rodríguez y Sra. D1ª José Garrido D2ª,3ª T. y Francisco Alonzo García D4ª A.M. de Chicotte y A. E, F1ª Segundo y L. Bonessi F2ª, G T.D y D. Mainz H C. Peñin Cuadrado I Francisco Moreno J,K Fernando Moreno L Felipe Pelachi Manzana 158 entre 22 y 24 A Héctor R. Muñóz B Mauricio Díaz C Froilan López D José A. Verna E Antonio tapia F María Isasti de Ares G,H Josefa C. Santesteban I Pablo H. Roldán y J.R. J J. Castro L1ª Josefa B. de saez L2ª Gerónimo y S. Veinticinco J Ángel F. Magiorino Manzana 159 entre 24 y 26 A Sampayo y Comabella B,C José Sampayo D Sampayo y Comabella E José Sampayo F Emeterio Rico G1ª Teresa M. Mareque G2ª Juana Vásquez H,I Suc. C. Iriarte J María G. de grifols K Ángel Valentín Pérez L José M. Marcos Manzana 160 entre 26 y 28 A1ª Jorge Cerrigone A2ª José N. Barrio B,C Biviano Andrada D Antonio Barrientos E Joaquin Pereyra F Sergio Bécares G Catalina Togneti H Juan Rossetto I G. H. Calvo J María G. Grifols K Cosme Santellán L José Sampayo Manzana 161 entre 28 y 30 A1ª,2ª Daniel Ferrando B Ángel Villarías C Antonio Scarfoni D Manuel Moyano E Amalia S. de Pico F Josefa Fernández G José M Alonzo H,I Amalia S. de Pico J G. Pereyra K Rodolfo Serra L Urbano Quintana Manzana 162 entre 30 y 32 A Antonio Sánchez B José Baldía C Jesús Becerra D Francisco Ussino E Tomás Novillo F Amalia S. de Pico G Isidoro Martínez H,I Amalia S. de Pico J,K G. Ferreyra L Amalia S. de Pico Manzana 163 entre 32-30 ahora 23 y 25 A,B Amalia S. de Pico C,D,F M. Ch. de Weincklein F,G Rosario Zabala H,I,J,K,L Amalia S. de Pico Manzana 164 entre 30 y 28 A,B J. Scayol C Juana A. de Nuin D Amalia S. de Pico E Faustina B. de Álvarez F,G L.A. Chapeaurouge H Nicasio N. Nuin I F. Oddi & M. de J Florentian vega K Pedro Flaker L J. Saayol Manzana 165 entre 28 y 26 A Suc. Ciriaco Iriarte B José D. Echeverría G Gabriel Vidal D Juan Montenegro E Ramona Toledo F M. S. de Herrera G Simón Aramburu H. H Domingo Tobares I Martín Blanoo J,K,L Suc. Ciriaco Iriarte Manzana 166 entre 26 y 24 A Margarita C. de Zanuto B Pedro Guach C Gervasio Travadelo D Ana. M. de Touceda E T.M. de Iriarte F,G,H,I,J,K Manuel Bermudez L Luis y Aladro Manzana 167 entre 24 y 22 A1ª Fernando Moreno A2ª S. B. de Moreno B,C Luis Campos D Suc. Ciriaco Iriarte E Plácido Luis F,G Luis & Aladro H Juan González I Felipe Angelucci J Atilio Salanueva K Feliciano Simón L Julio Mayor Manzana 168 entre 22 y 20 A Salvador Gil B,C Felipe Pelachi D Felix Torrado E Juan Díaz F,G Abdon Pereyra H,I Juan Reda J Emilio C. del Arco K Augusto Otero L Ramón Cuenca Manzana 169 entre 20 y 18 A Romulo Ferri B Germán Rodríguez C José A. del Pozo y Sra. D1ª J. Hernández galan y O. D2ª F.G. de Galvan E,F Andrés Somavilla G1ª F. Viñuela y Sra. G2ª Marcos Laborante G5ª Baldomero Paez H J. Topini y Sra. I Carmen I. Priori J1ª Francisco Puente J2ª J. Bernardo y Sra. K Telesforo Alonzo L Celso Sánchez Manzana 170 entre 18 y Boulevard A Alvarez y Martínez B Francisco Puente C Félix Puente D1ª Rogelio Entizne D2ª José Cid Martin E,F Nicanor Rodríguez G1ª Lorenzo Carreti G2ª Longino Sánchez H Guillermo Fernández I Juan Martín J Mariano López K Domingo López L Francisco Martínez Manzana 171 entre Boulevard y 16 A José Morán y Sra. B Alejandro Rossi C Diego Arroyo D1ª Florián López D2ª Juan García M. E Antonio Bonilla F Celestina F. de Aguilera G Nicanor Pérz H Casimiro Honorato I Juan Rosell K Víctor M. Oddone L Antonio Oddone Manzana 172 entre 16 y 14 A Andrés H. González B,C Ángel Villarías D1ª F. Tineo y A. Sánchez D2ª José Borachino E Francisco Cuellar F Belarmino Abarca G Dufau y Carnaghi H Leandro García I,J E. Bernal K A. Adeja y B. S. de L Andrés H. González Manzana 173 entre 14 y 12 A,B,C Pedro Galli D J. Scayol E Nicolás Domínguez F Ángel Giordano G F. Porcel H J. Alonzo I Alberto Rosell J1ª E. Zapata e hijos J2ª Andrés Cerda K Amalia S. de Pico L L. Calvillo Martín Manzana 174 entre 12 y 10 A1ª A. Moreno Romera A2ª Pedro yañez B José Carracedo C Vicente Martín D,E1ª Juan P. Rivarola E 2ª José Gagliardi F M. Pérez y G. Carreras G A. Posadas H,I S. de Iturzaeta J Isabel G. de Martello K Florentino Barin L1ª Catalin m. de Bicman L2ª José M. Prieto Manzana 175 entre 10 y 8 A,B,C,D,E Antonio Luis Toso F Vicente Paoletti G Atilio Pugnanone H P. Dante I Felix Martín J E. de Chapeaurouge K L. P. Velazco L Antonio L. Tosso Manzana 176 entre 8 y 6 A – L E. de Chapeaurouge Manzana 177 entre 6 y 4 A,B,C,D,E E. de Chapeaurouge I José fariña J,K,L E. de Chapeaurouge Manzana 178 entre 4 y 2 A,B,C Juan B. Lombardi D,E,F,G,H,I,J,K Ángel Lombardi L Juan B. Lombardi Manzana 179 entre 2-4 ahora 25 y 27 A – L L. Cruz Ortiz Manzana 180 entre 4 y 6 A,B R. Ch. de Barroso C Manuel Garialdi D Rosa M. de Prieto E,F Amador Fuentes G A. Mainer H Amador Fuentesç I1ª Eduardo Barroso I2ª, J Vicente M. López K1ª Eduardo Barroso K2ª Vicente M. López L R. Ch. de Barroso Manzana 181 entre 6 y 8 A,B,C,D Juan Clausure E Almira R. de Reinoso F Francisco valentino G Manuel Romero H,I Carmen E. de Balent J A. Fernández del casal K,L Eugenio Ludueña Manzana 182 entre 8 y 10 A1ª Irineo Cepeda A2ª Ignacio Prieto B Santiago Chiape C Miguel Martín D Policarpo Quiroga E Miguel Masrtín F,G,H,I,J,K E. de Chapeaurouge L A. F. de Casal Manzana 183 entre 10 y 12 A Amalia S. de Pico B Ana Rodríguez C,D,E,F,G,H Carlos Schusler I Manuel Romero J,K Pedro Giachino L Antonio Medina Manzana 184 entre 12 y 14 A-L Ferro Carril Oeste Manzana 185 entre 14 y 16 A,B,C,D,E,F, G,H,I1ª,G,H,I3ª,4ª Ferro Carril Oeste F,G,H2ª,2ª Luis Zonobi G,H,I3ª Vicente Gianechini Manzana 186 entre 16 y Boulevard A José Petrelli B Froilán López C José Zorzal D1ª Juan G. Moreno D2ª José Barbeito E T. Iriarte y D. Maínz F Antonio Barrera Manzana 187 entre Boulevard y 18 A1ª E.F. de Morales A1ª Juan M. Abarca B Antonio González A. D Camilo Cándano E Municipalidad F Elías Banadovich C1ª Fco. R. Cárdenas C2ª Isabel C. de Ruiz Manzana 188 entre 18 y 20 A Santiago Mateos B Macaria Bernardo C Ines C. de Patrilla D1ª Enrique Rodríguez D2ª Nicolás Giusani E Justo Ferreyra F1ª Santiago Zenarola H Amalia S. de Pico I Osvaldo Aragón J S. Altamiranda K Banco nación Argentina L Juliana Lezcano Manzana 189 entre 20 y 22 A,B Manuel Iglesias R. C Luis Festugatti D,E Antonio Festugatti F,G Lázaro Barroso H Saturnino Nieto I J. Topini y Sra. J D. Saenz K Simón Aveldaño L Manuel Iglesias R. Manzana 190 entre 22 y 24 A Pascuala M. de Viola B Manuel Archanco C Pedro González D Fermin Torres E1ª Domingo Lacasa E2ª Sabino C. García F Eusebio Matilla G Mariano Biullue H,I Juan Beronese J M. R. de Molina K,L Francisco Ursino Manzana 191 entre 24 y 26 A Fausto Molina B,C Ana Ch. de Chinchilla D Amalia S. de Pico E,F,G E. de Chapeaurouge H Félix Márquez I Amalia S. de Pico J Gabriel Albin K1ª Gregorio N. Lezcano K2ª Pedro Torrens L Valentin Marinelli Manzana 192 entre 26 y 28 A Luis M. Frattini B Tomas I. Zucconi C,D,E Aparicio Gómez F,G,H,I E. de Chapeaurouge J Segundo Gordillo K,L José Rico Manzana 193 entre 28 y 30 B1ª,I,J,K,L I. M. Ch. de Weinclein A1ª, Rafaél R. Morales A2ª Manuel P. Burriel Manzana 194 entre 30 y 32 A,B Juan Prado C1º, a K A. F. del Casal Manzana 195 entre 32-30 y pasamos a 27-29 A a L E. de Chapeaurouge Manzana 196 entre 30 y 28 A,B.C Eduardo de Chapeaurouge D M. Benitez E,F E. de Chapeaurouge G Sergio Gómez H,I E. de Chapeaurouge J,K Rosa de Ponteprimo L E. de Chapeaurouge Manzana 197 entre 28 y 26 A,B Elias Benito C,D,E Pedro N. M. Santos F,G,H M. Ch. de Weinklein I,J,K F. Varas y V. de L Elías Benito Manzana 198 entre 26 y 24 A Damaso Santos B Estéban F. Brum C Eleuterio Morales D Amalia S. de Pico E Laurentina resco F Alberto F. del Casal G Antonio Flaquer H Alberto F. del Casal I L. A. de Chapeaurouge J,K Guillermo Fons L Juan I. Amundarain Manzana 199 entre 24 y 22 A1ª José Iglesias P. A2ª María de Gradin B,C Bartolomé llanos D Manuel Bermúdez E Eduardo lazo F Emilio Baronese G Aniceto de León H José M. Meneas I Alberto F. del Casal J Juan B. Sappa K José San Martín L Victoriana Bengochea Manzana 200 entre 22 y 20 A Dufau y Carnaghi B,C,D Eduardo de Chapeaurouge E,F Humberto Oddone G Alfonso Oddone H J. Pereyra y M. Morales I,J Eduardo de Chapeaurouge K Víctor M. Linardo L Emilio Capreta Manzana 201 entre 20 y 18 A E. de Chapeaurouge B Teresa M. Masara C José Vázquez D1ª F. Refort y G. B. de D2ª Plácido Vergeres E Ángel Gobbato F Juan Acosta G1ª T. de Iriarte y D. Maínz G2ª Juana R. de Acosta H J. García Pérez I Villada Aguilar J FranciscG7NG-XC8M-WDRN-FK7R-964Ko Lazo K José Bonacera L L. de Chapeaurouge Manzana 202 entre 18 y Boulevard A Diego Maínz B E. de Chapeaurouge C,D,E,F Adolfo N. casal Manzana 203 entre Boulevard y 16 A,B,C María Ch. de Weinklein D Comisaría de Policía E,F María Ch. Wenklein Manzana 204 entre 16 y 14 A Salvador Bausa B a L Amalia S. de Pico Manzana 205 entre 14 y 12 A a L P. Giachino Manzana 206 entre 12 y 10 A a L M. Ch. de Wenklein Manzana 207 entre 10 y 8 A a L Consejo Nacional de Educación Manzana 208 entre 8 y 6 A a L E. de Chapeaurouge Manzana 209 entre 6 y4 A a L E. de Chapeaurouge Manzana 210 entre 4 y 2 Amalia S. de Pico Manzana 211 entre 2-4 ahora 29 y 31 “ Manzana 212 entre 4 y 6 “ Manzana 213 entre 6 y 8 “ Manzana 214 entre 8 y 10 “ Manzana 215 entre 10 y 12 “ Manzana 216 entre 12 y 14 A a L Eduardo de Chapeaurouge Manzana 217 entre 14 y 16 A a L M. Ch. de Wenklein Manzana 218 entre 16 y Boulevard A a L Amalia S. de Pico Manzana 219 entre Boulevard y 18 A a L P. L. Sánchez Manzana 220 entre 18 y 20 A,B,I,J,K,L Antonio Panussio C Félix Flores D,E,F,G,H M. Ch. de Wenklein Manzana 221 entre 20 y 22 A a l Consejo Nacional de Educación Manzana 222 entre 22 y 24 A a l A. F. del Casal Manzana 223 entre 24 y 26 A a L Amalia S. de Pico Manzana 224 entre 26 y 28 A a L Amalia S. de Pico Manzana 225 entre 28 y 30 A a L A. F. del Casal Manzana 226 entre 30 y 32 A a L Amalia S. de Pico Manzana 227 entre 32-30 y pasamos a 31 y 33 A,B,C,D,E Amalia S. de Pico F,G Modesto Casadey H,I,J,K,L Amalia S. de Pico Manzana 228 entre 30 y 28 A A L Amalia s. de Pico Manzana 229 entre 28 y 26 A a L Amalia S. de Pico Manzana 230 entre 26 y 24 A a L Amalia S. de Pico Manzana 231 entre 24 y 22 A Desiderio Ascheri B,C M. Ch. de Wenklein D Diego Lockart E,F León Martín F. C. G Héctor Casenave H Viuda de Gedes I,J,K,L M. Ch. de Wenklein Manzana 232 entre 22 y 20 A,B,C,D,E. E. de Chapeaurouge F Juan G. Hernández G José Baraibar H Juan G. Hernández I José Bartolomé J,K,L Edo. De Chapeaurouge Manzana 233 entre 20 y 18 A,B,C,D,E Amalia S. de Pico F Manuel Martín G,H,I,J,K,L Amalia S. de Pico Manzana 234 entre 18 y Boulevard A,B Antono Moralejo C Rufino Lobos D,E Martin Carracedo F,G,H,I Antonio Moralejo ,J,K,L “ “ Manzana 235 entre Boulevard y 16 A –L Amalia S. de Pico Manzana 236 entre 16 y 14 A –L Amalia S. de Pico Manzana 237 entre 14 y 12 A –L Amalia S. de Pico Manzana 238 entre 12 y 10 A Sinforosa de Quinteros B a I Edo. De Chapeaurouge J Eusebia A. de Hermida K Edo. De Chapeauroge L Sinforosa de Quinteros Manzana 239 entre 10 y 8 A Amalia S. de Pico B Gerónimo Testón C Amalia S. de Pico D Martín Gonzalo F,H,I,J,K,L Amalia S. de Pico E Pascual Lucero G Lorenzo Fernández Manzana 240 entre 8 y 6 A,B Suplicio Gallardo C Ramón Yerbes D,E,F Amalia S. de Pico G José Galvase H Ramón A. Yerbes I Suplicio Gallardo J,K Delfín Saavedra L Suplicio Gallardo Manzana 241 entre 6 y 4 A a L Amalia S. de Pico Manzana 242 2ntre 4 y 2 A a L Amalia S. de Pico Hasta aquí se puede ver lo que podríamos llamar la cuadrícula principal del pueblo de General Pico. lo que viene a continuación, será la descripción de la nomenclatura efectuada entre las calles 32 y 40, y desde la calle 1 hasta la altura de la calle 13, más una parte de sectores de quintas, marcadas desde esa calle 13 hasta un poco más allá de la calle 21. Se habrá podido apreciar que aparecen algunas lecturas que nos cambian varios lugares, en este sector llamada “atrás de las vías”, pues la Manzana 186, nos indica el lugar de la Escuela 66, la “de Itria”, mientras que la Comisaría está marcada exactamente donde actualmente encontramos el gran salón de actos, o usos múltiples de la Escuela de Luján, por lo que no sería entonces el asiento Policial, –como se informara–, en el mismo lugar donde estuviera la Escuela 66. Otro dato para destacar, es que el terreno y lugar para esa escuela, si bien no está marcado como tal en la Manzana 221, sí aparece otro terreno destinado al Consejo Nacional de Educación, en la Manzana 207, entre las calles 10, 8, 27 y 29. Quedan hechas las preguntas de rigor, para establecer orígenes y destino de cada cosa. Dónde y cuándo se produjeron esos cambios, como así también datos de filiación de la señora Amalia S. de Pico. Agradecimiento por la colaboración del amigo Carlos Dante Ismaél. Fuente informativa Boletín Municipal 1941 Plano Catastral que fuera propiedad de Amigos de la Ciudad héctor Pérez Farías recopilador de historias pueblerinas Agosto de 2017